The Crookston Planning Commission met on Wednesday evening in the City Hall Council Chambers.
LINCOLN SCHOOL PROPERTY
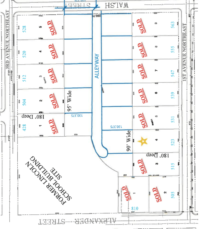
The first item was a discussion on housing development options on the Lincoln School property. Jeff Fagerstrom from the Northwest Minnesota Housing Cooperative (NWMHC) presented development concepts and received feedback from the committee on zoning, infrastructure, and possible partnerships. The Lincoln School green space is owned by NWMHC and they have three concepts they are looking at. “The three options that are presented tonight were simply concepts. There’s nothing set in stone. And when you start developments, that’s where it needs to start,” said Fagerstrom. “It needs to start with a concept. And it’s simply a possibility that could open up into future development. But really, it was to spur conversation.”
The three concepts presented were-
Concept 1 – An east-west road with residential lots. This concept would create a traditional residential street pattern, allow phased construction, and support single-family or patio home style development.
Concept 2 – A limited internal road with 1st Avenue NE access. Lots would be approximately 95’ x 130’ each. This concept would reduce internal roadway length and infrastructure cost, and support smaller-scale housing clusters.
Concept 3 – Plat adjustment and lot expansion. This concept proposes selling or transferring the 95’ x 130’ lots to adjacent homeowners to expand existing yards, add an alleyway, construct a home on lot #523, and fully develop the Lincoln School property.
“Tonight was about saying that there’s green space available in the middle of that Lincoln School property, and we’re open for consideration, what to do with the property. It’s kind of sitting there, primed, ready for development,” said Fagerstrom. “And in the same context, so we just want to get input from the city, from the Planning Commission, and frankly from the community. Where does the development need to go, and what options are available there? So really, tonight was just simply about letting the city and the Planning Commission know that there’s a piece of land there and it’s available for development.”
DIOCESE PROPERTY
Crookston Housing and Economic Development Authority Executive Director Taylor Wyum led a discussion regarding the future prospects for housing on the former Diocese property in Crookston. “The city has been working with the Diocese for a little over a year. We are happy to be working with them. They’ve been a great partner,” said Wyum. “We’re looking to see if maybe we can find a developer who’s interested in doing some single-family residential homes on the property. We’d just like to see what developers would propose, what they think would work for the area, because we’re not the experts. We’re not developers. We would like to compare some plans and then go from there.”
BROADWAY VILLAS
Wyum also led a discussion on the Broadway Villas housing project, which will be on the lot directly south of Casey’s gas station. “We’re excited to keep this project moving forward. We’ve secured funding for the project, and our Crookston Housing and EDA board recently approved moving forward with hiring technical services, such as civil engineering,” said Wyum. “We’re going to get an RFP ready and try to solicit a firm to help with the site plans and hopefully start construction in 2027.”
The homes will be available for purchase by anyone with a household income at an estimated $134,000 or lower, but will likely change by 2027. The plan is to build six townhomes, totaling 12 units.
RAIL SPUR PHASE 2
Once again, Wyum led the discussion on the new railroad spur in the Industrial Park on the south end of Crookston. The discussion was on the rail spur second phase. “Minnesota Northern Railroad has already started some of the dirt work on phase one of the railroad spur at the industrial park property,” said Wyum. “They just submitted a grant application to fund the second phase of the rail spur, which would extend rail access to the northwest corner of the lot where the former Ag Innovation Campus is, now owned by Farmers Union. They’re investing heavily out there and putting in an organic fertilizer plant.”
HEIGHT RESTRICTIONS IN HEAVY INDUSTRIAL ZONE
The commission discussed possibly changing the height restrictions for any building constructed as requested by CHEDA. Currently, if any building is constructed over 40 feet tall, a $1,500 variance request fee would be charged. With the work being done in the Industrial Park on the south end of Crookston, they have had interest, and there is a good chance that buildings constructed would be over 40 feet high. The commission discussed options and concluded it would be a good idea to raise the height to 100 feet for several reasons.
“I had a request from EDA to take a look at height restrictions in the industrial zones, basically because there are certain things that happen, certain developers and or industries that have buildings that are either outside the code or higher. Auxiliary equipment or higher towers or chimneys and smokestacks, that sort of thing. That may require greater than, say, what the building code allows,” said Crookston Greg Hefta, City of Crookston Building Official. “It was just a general discussion whether or not we should raise that height restriction to a minimum height. And based on the recommendations, the 100 feet was somewhat pointed to. I also have the building code, which imposes restrictions on buildings based on their type of construction and occupancy. So basically, I now have some guidelines I can use to create an ordinance change.“
Any building over 100 feet has to have a beacon (light) on the top as required by the Federal Aviation Administration. “Just from my discussions with Polk County Planning and Zoning, they also have a similar restriction at 100 feet that aviation marker lights should be put up or beacons,” said Hefta. “To be consistent and just to follow through, it seems logical to at least minimize or put that restriction on it that at 100 feet, those beacons would be required.”
The next Crookston Planning Commission meeting will be on February 24 at 7:00 p.m.




